Pole Building Proposed at Beethoven Waldheim Property
The Lower Saucon Township Planning Commission is scheduled to hear a request for a land development waiver from a property owner who’s proposing construction of 9,600 square-foot pole building.
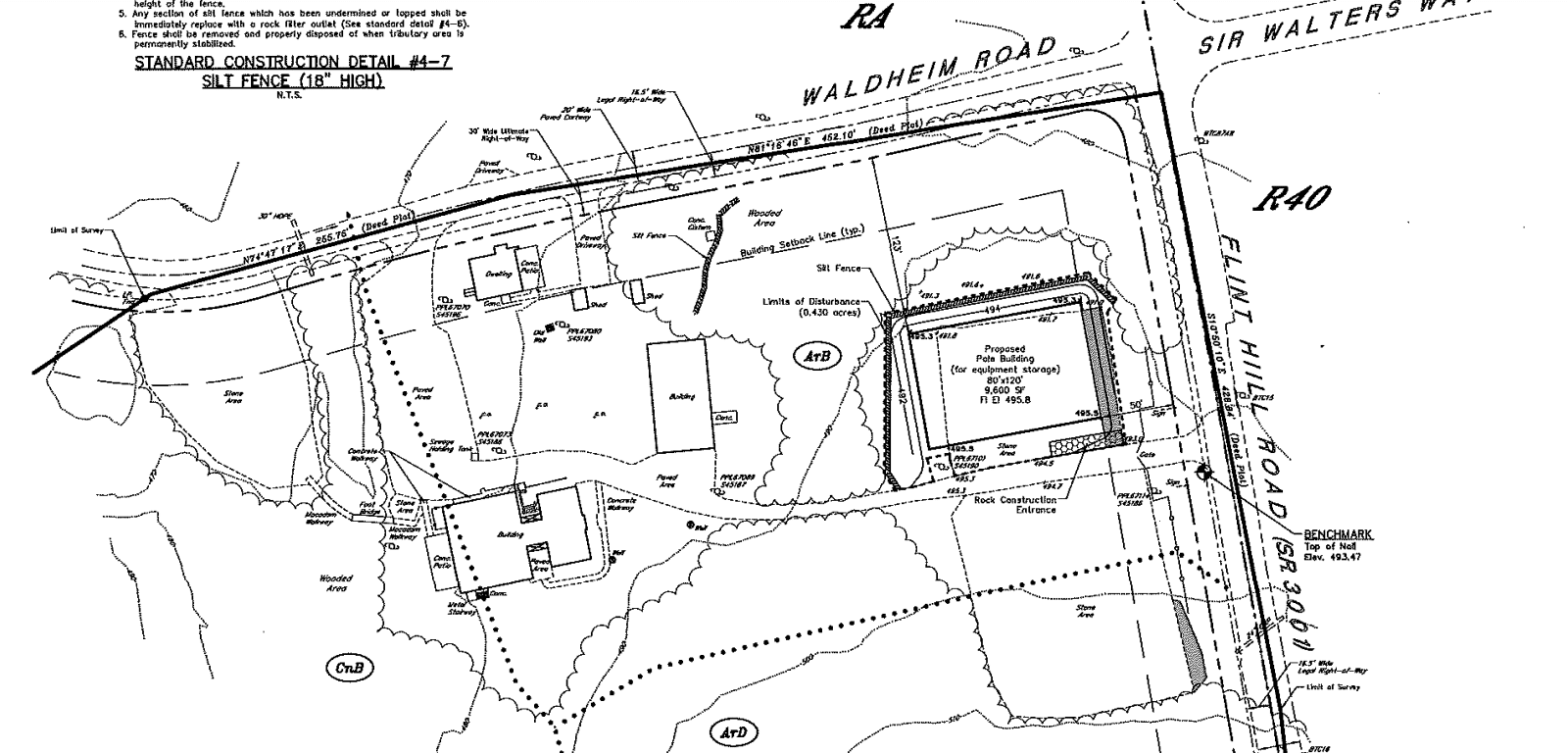
The Lower Saucon Township Planning Commission is scheduled to hear a land development waiver request from a property owner who’s proposing construction of 9,600 square-foot pole building.
According to plans submitted to the township and included with Thursday’s planning commission meeting agenda, the 80 by 120-foot pole building would be used for equipment storage and would be constructed near Flint Hill Road in the northeast corner of the Beethoven Waldheim Club property.
The 19-acre Waldheim Road property is zoned RA (rural agricultural), has served as a private social club and event venue in the past and was listed for sale for $1.5 million in the spring of 2021.
According to the township planning application, it is still owned by township resident Domenic Albanese, who purchased the property before renovating parts of the main building and reopening the club in February 2018.
A partial site plan submitted with the application states that there would be no change in the amount of impervious surface on the property if the pole building is constructed because a 9,600 square-foot stone area is to be removed from the same part of the property.
Thursday’s planning meeting is open to the public and will be held at 7 p.m. at Lower Saucon Town Hall, 3700 Old Philadelphia Pike, Bethlehem.
The land development waiver is the only business item listed on the agenda.
The current planning commission is made up of seven members: chair Craig Kologie, vice chair Tom Carocci, Chris Nagy, Hazem Hijazi, Douglas Woosnam, Jeffrey Schmehl and Jennifer Peters.

